专栏 RSS订阅(公众号)
温馨提示:订阅专栏后它将会自动更新,无人订阅的专栏有可能不会更新。
专栏 二维码
TodayRss-海外RSS稳定源
他们也喜欢这个专栏
 • 
RSS订阅
今天看啥  ›  专栏  ›  水产前沿
深入一线,记录行业进程,影响国内外水产业意见领袖。始终站在行业前沿,这里就是水产前沿!
免责声明:本专栏仅为信息导航参考,不代表原文立场或观点。 原专栏内容版权归原作者所有,如您为原作者并希望删除该专栏,请通过 【版权申诉通道】联系我们处理。
开通 RSS极速订阅 可分钟级获得文章
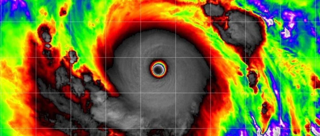
超17级!超强台风“森拉克”成4月风王!预警:江南华南多地大暴雨、雷暴大风
水产前沿  ·  公众号  ·  ·  3 天前  · 
集体开涨!最高涨1元/斤!黄颡鱼、鳜鱼、加州鲈、金鲳都涨,江团也准备涨?|特水鱼周报2026第12期
水产前沿  ·  公众号  ·  ·  3 天前  · 
关于举办全国无规定水生动物疫病苗种场建设及管理培训班的通知
水产前沿  ·  公众号  ·  ·  3 天前  · 
存塘高、价格跌、病害风险上升…鳊鱼、黄鳝、牛蛙、海参行情预警
水产前沿  ·  公众号  ·  ·  4 天前  · 
超17级风王北上!两广将有10级以上雷暴大风,超凶暴雨袭击
水产前沿  ·  公众号  ·  ·  4 天前  · 
涨价啦!最高涨4元/斤,黑斑蛙、鳜鱼、加州鲈、草鱼、鲫鱼、鲤鱼、罗非鱼...集体上涨
水产前沿  ·  公众号  ·  ·  5 天前  · 
巅峰17级!超强台风“森拉克”生成,或间接令广东广西成全国暴雨中心
水产前沿  ·  公众号  ·  ·  5 天前  · 
院士领航、15亿签约,阳春汇聚行业力量,志创百亿鳜鱼产值!
水产前沿  ·  公众号  ·  ·  1 周前  · 
缺鱼了?!走量加快多地涨价,加州鲈最高涨0.5元/斤
水产前沿  ·  公众号  ·  ·  1 周前  · 
他,为全国饲料行业写下“广东经验”|致敬罗建民主任
水产前沿  ·  公众号  ·  ·  1 周前  · 
大虾流通慢,中虾却紧缺了!后市虾价看涨?!|白虾周报2026年25期
水产前沿  ·  公众号  ·  ·  1 周前  · 
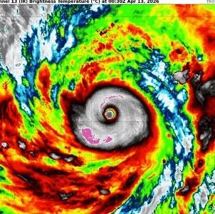
直冲17级+?新台风“森拉克”1-2天内生成,或成今年首个超强台风,影响我国吗?
水产前沿  ·  公众号  ·  ·  1 周前  · 
虾价雪上加霜?!美对华199家虾企启动双反,国联、恒兴、通威在列
水产前沿  ·  公众号  ·  ·  1 周前  · 
今年首个超强台风要来?4号台风森拉克即将生成,又强又大
水产前沿  ·  公众号  ·  ·  1 周前  · 
湖北、河南涨0.5元/斤!清明后病鱼冲击市场|杰大饲料特约·加州鲈周报2026第14期
水产前沿  ·  公众号  ·  ·  1 周前  ·